Just Listed
Vacant Land for Sale

1997 St Albans Rd

St Albans $290,000 DA Approved

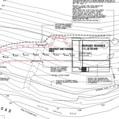
D.A. Approved North Facing 4.5 Acre (approx.) Land, in the heart of Historic St Albans Village

4.50 ac

A landholding of this size in the heart of St Albans is a genuine find. Set across 4.5 sun-drenched acres with an elevated, flood-free position and a perfect north aspect, the property sits just a short 2-minute stroll to the historic village.

Access to the MacDonald River is just across the road, and the neighbouring heritage-listed St Albans Courthouse adds a timeless charm to the setting.

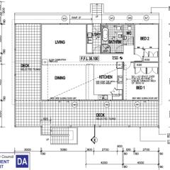
DA-approved plans for a beautifully considered home are already in place, meaning the groundwork has been done. Simply bring your vision and begin the build.

  • 4.5 Acres
  • DA Approved Plans for 2 Bedroom Home
  • Sun Drenched Northerly Aspect 
  • Minutes Stroll to St Albans Village
  • 20 Minutes To Wisemans Ferry
  • Approx. 90 Minutes to Sydney, Central Coast and Hunter Valley

Opportunities like this in St Albans Village are few and far between. Call Trent Iverson on 0409 738 388 to arrange an inspection.

Disclaimer: All information about this property has been provided from sources we believe to be reliable. Vella Iverson Real Estate has not verified the information and does not warrant its accuracy or completeness. Parties should make and rely on their own enquiries in relation to this property.  All photographs, maps, boundary markings, measurements and images are representative only for marketing purposes.

Address 1997 St Albans Rd, St Albans
Price $290,000 DA Approved
Property Type Residential
Property ID 472
Category Vacant Land
Land Area 4.50 ac

Tools:

Share: